Bénéficiez de 10 % de réduction sur votre première commande avec le code : FIRST-10
Maladies et parasites du kiwi

Maladies et parasites du kiwi

Identifier, traiter, prévenir

Sommaire

Modifié le 7 janvier 2026  par Leïla 5 min.

Le kiwi ou Actinidia est une plante fruitière, une liane grimpante vigoureuse, originaire de Chine. Il est apprécié pour ses délicieux fruits riches en vitamine C et en fibres. Il peut atteindre une hauteur de 4 à 6 mètres, voire plus dans des conditions favorables. Le kiwi est une plante adaptée aux climats tempérés. Il préfère les zones avec des étés chauds et ensoleillés, ainsi que des hivers frais, mais sans gelées sévères. Les kiwis sont sensibles au gel, en particulier lorsqu’ils sont jeunes, il est donc préférable de les protéger des températures extrêmes. Le kiwi prospère dans un sol fertile, bien drainé et légèrement acide, en sol drainé.

Le kiwi se montre globalement résistant et rarement malade. Toutefois, comme toute culture fruitière, il peut être sujet à différentes maladies et parasites qui peuvent affecter sa croissance et sa production. Voici nos conseils pour les identifier, les traiter naturellement et quelques astuces de prévention.

Difficulté

La bactériose du kiwi

L’une des maladies courantes du kiwi est la bactériose du kiwi, causée par la bactérie Pseudomonas syringae pv. actinidiae. Elle est surtout observée dans les productions à grande échelle. Les symptômes comprennent des lésions nécrotiques sur les feuilles, sous forme de taches de forme variable, entourées d’un halo jaune. Sur les branches et le tronc, on observe des chancres avec écoulement d’un exsudat gommeux de couleur blanchâtre à brunâtre.

Si votre kiwi est atteint, il est recommandé dans un premier temps de couper et d’éliminer les parties infectées de la plante. Il n’existe pas de traitement curatif pour cette maladie. Préventivement, vous pouvez utiliser des produits à base de cuivre, comme la bouillie bordelaise, qui a des propriétés antifongiques et antibactériennes. Appliquez ces produits après les travaux de taille. L’utilisation de ces produits peut également aider à contrôler la propagation de la bactérie. Cependant, n’abusez pas de la bouillie bordelaise ! Un excès de cuivre est dangereux pour la vie du sol.

Pour prévenir la bactériose, il est important de maintenir une bonne hygiène en désinfectant les outils de taille. L’humidité est un facteur de propagation, taillez en période sèche. Les blessures causées par la taille sont des portes d’entrée de la bactérie. Faites des tailles propres et nettes. De plus, toujours dans ce même objectif d’éviter l’humidité : assurez un bon drainage du sol, pour éviter un sol trop humide. Ne pas mouiller le feuillage en arrosant, en privilégiant un arrosage au pied de la plante.

À noter que les décoctions de prêle, qui fortifient la plante, sont bénéfiques.

→ Voir l’article de Virginie sur la décoction de prêle.

La chlorose

La chlorose se manifeste par une décoloration des feuilles, qui deviennent jaunes. Elle est présente quand le sol est trop calcaire pour la plante, elle est donc surtout visible sur les plantes qui apprécient les sols un peu acides, comme le kiwi. Le calcaire inhibe l’absorption des nutriments. Elle est généralement due à une carence en fer, en magnésium ou en manganèse (dans ce cas la décoloration des feuilles n’est pas la même).

Pour traiter la chlorose, il est recommandé d’appliquer des engrais contenant les éléments nutritifs nécessaires ou des produits anti-chlorose. Par exemple, un engrais riche en fer peut être appliqué pour corriger la carence en fer. Il est également important de maintenir un pH du sol adéquat, car une acidité ou une alcalinité excessive peut affecter l’absorption des nutriments.

Pour prévenir la chlorose, il est recommandé de connaître le pH du sol, donc éventuellement de réaliser des analyses du sol (avec un petit test de pH) et de planter en conséquence. Il est important aussi de fournir les éléments nutritifs nécessaires de manière équilibrée.

→ Pour en savoir plus sur le pH d’un sol, lisez : Le pH du sol : qu’est-ce que c’est ?

→ Lire l’article de Virginie sur la chlorose ferrique.

chlorose

Une feuille carencée sujette à la chlorose

Le Botrytis

Le botrytis ou Botrytis cinerea, également connu sous le nom de pourriture grise, est un champignon qui peut affecter les fleurs, les feuilles et les fruits du kiwi. Il provoque l’apparition de taches brunes, puis d’un feutrage gris. Ensuite, les parties touchées pourrissent. Les fruits deviennent rapidement impropres à la consommation, gagnés par cette pourriture molle. Des conditions très humides favorisent l’apparition de ce champignon et des températures moyennes, supérieures à 20° C. C’est au printemps et à l’automne qu’il se développe le plus souvent.

Il n’existe pas de traitement contre le Botrytis. Éliminez les parties infectées de la plante puis détruisez-les. Désinfectez bien le matériel de taille ou d’entreposage.

Adoptez des mesures prophylactiques en prévention. Une bonne circulation de l’air et une réduction de l’humidité peuvent aider à prévenir les infections. Aérez le feuillage en supprimant éventuellement des feuilles. Arrosez de préférence le matin, car le soir la plante peut ne pas sécher avant le refroidissement nocturne. Veillez au bon équilibre nutritif des plantes. Attention aux excès comme aux carences d’azote. Arrosez au pied sans éclabousser le feuillage. Traitez préventivement avec du purin d’ortie ou une décoction de prêle.

→ Lire l’article d’Eva sur le Botrytis.

botrytis

Le botrytis sur une fraise

Les araignées rouges

Les araignées rouges sont de petits parasites qui se nourrissent de la sève des plantes, provoquant un jaunissement des feuilles et la formation de toiles fines sur la surface inférieure des feuilles. Microscopiques, il est difficile de les observer. Pourtant, on repère bien l’entrelacs de toiles fines, les soies, encore plus visibles si la plante est mouillée. Les feuilles se couvrent de taches blanches ou jaunes et se dessèchent. À l’inverse des maladies précédentes, ce parasite apparaît en conditions chaudes et sèches, le plus souvent sur les plantes cultivées en serre ou en intérieur.

Pour traiter les infestations d’araignées rouges, il est recommandé de pulvériser les plantes avec un jet d’eau puissant pour les éliminer physiquement. L’introduction de prédateurs naturels, tels que les acariens prédateurs comme Phytoselulus persimillis, peut également être efficace pour contrôler les populations d’araignées rouges.

→ Lire l’article de François pour d’autres solutions de traitement pour les araignées rouges.

En termes de prévention, en conditions de sécheresse excessive, aspergez régulièrement le feuillage le soir. Attention aux excès d’azote des engrais. Nourrissez si possible votre plante avec des apports de compost. Paillez le sol. Une fois de plus, purin d’ortie et décoction de prêle sont vos alliés.

araignee rouge

Microscopiques, les araignées rouges ne se voient pas à l’œil nu

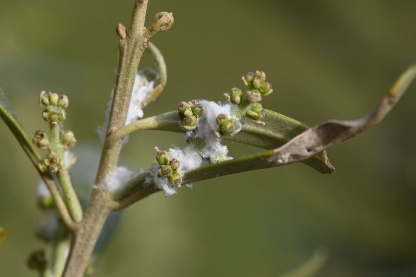
Les cochenilles

Les cochenilles sont des insectes parasites qui se nourrissent de la sève des plantes. Elles peuvent apparaître sous différentes formes, notamment les cochenilles farineuses et les cochenilles à carapace et à bouclier. Les cochenilles farineuses ressemblent à de petites masses cotonneuses blanches, tandis que les cochenilles à bouclier ont une enveloppe protectrice en forme de bouclier sur le dos. Elles se trouvent souvent sur les tiges, les feuilles et les fruits du kiwi. Les plus fréquentes au jardin sont les cochenilles farineuses.

Pour traiter les infestations de cochenilles de manière naturelle, vous pouvez utiliser des solutions à base de savon insecticide ou d’alcool à 90°. Enlevez les cochenilles au coton tige imbibé d’alcool. Préparez une solution à base de savon noir. Appliquez la solution directement sur les cochenilles à l’aide d’un pulvérisateur. Assurez-vous de bien couvrir toutes les parties de la plante infestée. Répétez le traitement toutes les 1 à 2 semaines jusqu’à ce que les cochenilles soient éliminées.

→ Lire l’article de Virginie pour les solutions de traitement contre les cochenilles.

Inspectez régulièrement vos plantes de kiwi pour détecter les premiers signes d’infestation, tels que des taches blanchâtres ou collantes sur les feuilles. En cas de forte infestation, il peut être nécessaire de retirer les parties gravement affectées de la plante pour empêcher la propagation.

parasite kiwi

Les cochenilles forment des amas cotonneux blancs

Commentaires

Actinidia